About 9th Street Tax Lot 900/2800
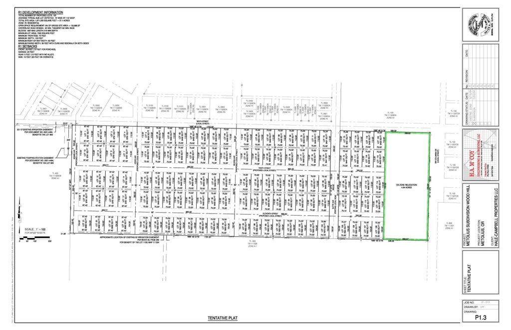
Prime development opportunity in the growing community of Metolius, Oregon. This 37.95-acre parcel is zoned R-1, with Preliminary Plat Approval in place for 120 single-family detached homes. This land is located within city limits, with flat topography and utilities available at site, making it ideal for development. Phase one engineering is underway with 25 lots. Whether you're a builder, developer, or investor looking for a shovel-ready subdivision project, this opportunity checks all the boxes. Listing Agent related to Seller.
Features of 9th Street Tax Lot 900/2800
| MLS® # | 220213470 |
|---|---|
| Price | $2,700,000 |
| Acres | 37.95 |
| Type | Land |
| Sub-Type | Residential Lots |
| Status | Active |
Community Information
| Address | 9th Street Tax Lot 900/2800 |
|---|---|
| Subdivision | Metolius |
| City | Metolius |
| County | Jefferson |
| State | OR |
| Zip Code | 97741 |
Amenities
| Utilities | Cable Available, Electricity Available, Phone Available |
|---|---|
| Is Waterfront | No |
Interior
| Fireplace | No |
|---|
School Information
| Elementary | Check with District |
|---|---|
| Middle | Check with District |
| High | Check with District |
Additional Information
| Date Listed | January 5th, 2026 |
|---|---|
| Days on Market | 36 |
| Zoning | R1 |
Listing Details
| Office | Stellar Realty Northwest |
|---|
